Łódź, Polesie, Huta Jagodnicka, rej. Huta Jagodnica

Działka na sprzedaż

Opis nieruchomości

ATRAKCYJNA NAROŻNA działka budowlana na Złotnie, w rejonie ulicy Huta Jagodnica,
MEDIA - prąd  skrzynka przy działce, woda w ulicy,

AKTUALNA DECYZJA WZ - o warunkach zabudowy - można od razu wystąpić o pozwolenie na budowę !!!
Cena do negocjacji !!! 


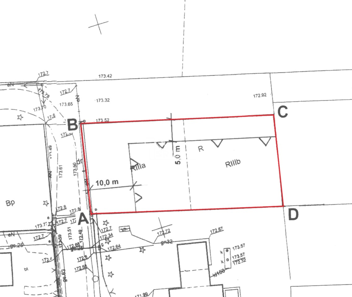
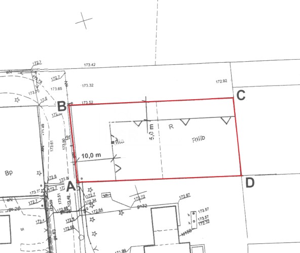
- KSZTAŁT/WYMIARY DZIAŁKI:
prostokąta o wymiarach 21,2 x 44,5 m,

- STRONA ŚWIATA OD WJAZDU:
zach lub płn.

- UKSZTAŁTOWANIE TERENU:
działka z lekkim spadkiem w kierunku rzeczki, tj. w kierunku wsch.,

- PRZEZNACZENIE:
brak miejscowego planu zagospodarowania przestrzennego, jest aktualna decyzja wz na budowę domu jednorodzinnego (szczegóły w biurze), podstawowe parametry:
- nieprzekraczalna linia zabudowy 5m od północnej granicy działki i 10m od zach granicy działki - patrz mapkę załącznik do decyzji wz,
- wskaźnik powierzchni zabudowy w stosunku do powierzchni działki od 0,02 do 0,14 - powierzchnia zabudowy planowanego domu nie więcej niż 135m,
- szerokość elewacji frontowej od zachodniej granicy działki 0d 9 do 14m,
- wysokość górnej krawędzi elewacji frontowej do 4m.

- UZBROJENIE TERENU: media - prąd przy działce - skrzynka, woda w ulicy ok. 30m od granicy działki,

- OGRODZENIE:
działka nieogrodzona, ogrodzona jest zabudowana działka sąsiednia od strony południowej,

- ZABUDOWA:
brak,

- NASADZENIA: nieliczne samosiejki,

- OTOCZENIE/STAN ZURBANIZOWANIA:
działka zlokalizowana na osiedlu Złotno, w otoczeniu przeważnie nowe domy, w sąsiedztwie od strony południowej duża działka z nowym domem jednorodzinnym, po drugiej stronie ulicy od strony północnej obecnie tereny upraw rolnych, ale prawdopodobnie będzie tam osiedle małych segmentów, od strony wschodniej działki niezabudowane, za nimi w odległości, ok. 150m rzeczka Jasieniec,

- DOJAZD: dojazd drogą asfaltową ul. Huta Jagodnica, ostatnie ok. 200m droga utwardzona szutrowa,

- KOMUNIKACJA: miejska komunikacja autobusowa w ul. Złotno ok. 1000m od działki, szybki dojazd do trasy S-14 (węzeł Konstantynów),

- UWAGA ! 
    Oferty prezentowane na naszych stronach nie stanowią oferty w rozumieniu Kodeksu Cywilnego, a są jedynie zaproszeniem do rokowań. Podane dane mają charakter wyłącznie informacyjny i mogą odbiegać od stanu faktycznego. Opis obiektu został sporządzony na podstawie informacji przekazanych przez Oferującego. Oferta może być już nieaktualna. Prosimy o telefon.

Nota prawna

Opis oferty zawarty na stronie internetowej sporządzany jest na podstawie oględzin nieruchomości oraz informacji uzyskanych od właściciela, może podlegać aktualizacji i nie stanowi oferty określonej w art. 66 i następnych K.C.

Szczegóły oferty

Symbol oferty PRO-GS-11066
Powierzchnia 962,00 m²
Przeznaczenie działki budowlana
Standard
Wymiary działki 21,2x44,7 m
Stan prawny własność
Zagosp. działki niezagospodarowana
Ukształtowanie działki lekko nachylona
Kształt działki prostokąt
Ogrodzenie działki brak
Woda w ulicy
Otoczenie działki zabudowane
Prąd na działce

Lokalizacja

Kalkulator kredytowy

PLN
%
Wysokość raty

Kalkulator kosztów

PLN
PLN
PLN
PLN
PLN
PLN
%
PLN
Podatek od czynności cywilno-prawnych
Taksa notarialna (opłata notarialna)
VAT od taksy notarialnej (opłaty notarialnej)
Wniosek do WKW
VAT od wniosku do WKW
Prowizja agencji nieruchomości
VAT od prowizji agencji nieruchomości
Wypisy aktu notarialnego - około
RAZEM (cena + opłaty)

Uwaga: mogą wystąpić dodatkowe opłaty za założenie księgi wieczystej oraz ustanowienie hipoteki.

Podobne oferty

nowa oferta
działka na sprzedaż - Łódź, Polesie, Huta Jagodnicka, rej. Huta Jagodnica

działka na sprzedaż

Łódź, Polesie, Huta Jagodnicka, rej. Huta…
  962,00 m2 414,76 zł/m2
nowa oferta
działka na sprzedaż - Łódź, Widzew, Nowosolna, Brzezińska

działka na sprzedaż

Łódź, Widzew, Nowosolna, Brzezińska
  1 256,00 m2 350,32 zł/m2

Napisz do nas

Proszę wypełnić to pole
Proszę wypełnić to pole
Proszę wypełnić to pole
Proszę wypełnić to pole
Trwa wysyłanie...

Ta strona wykorzystuje pliki cookies w celach statystycznych oraz w celu dostosowania naszych serwisów do indywidualnych potrzeb klientów. Zmiany ustawień dotyczących plików cookie można dokonać w dowolnej chwili modyfikując ustawienia przeglądarki. Korzystanie z tej strony bez zmian ustawień dotyczących cookies oznacza, że będą one zapisane w pamięci urządzenia.

rozumiem